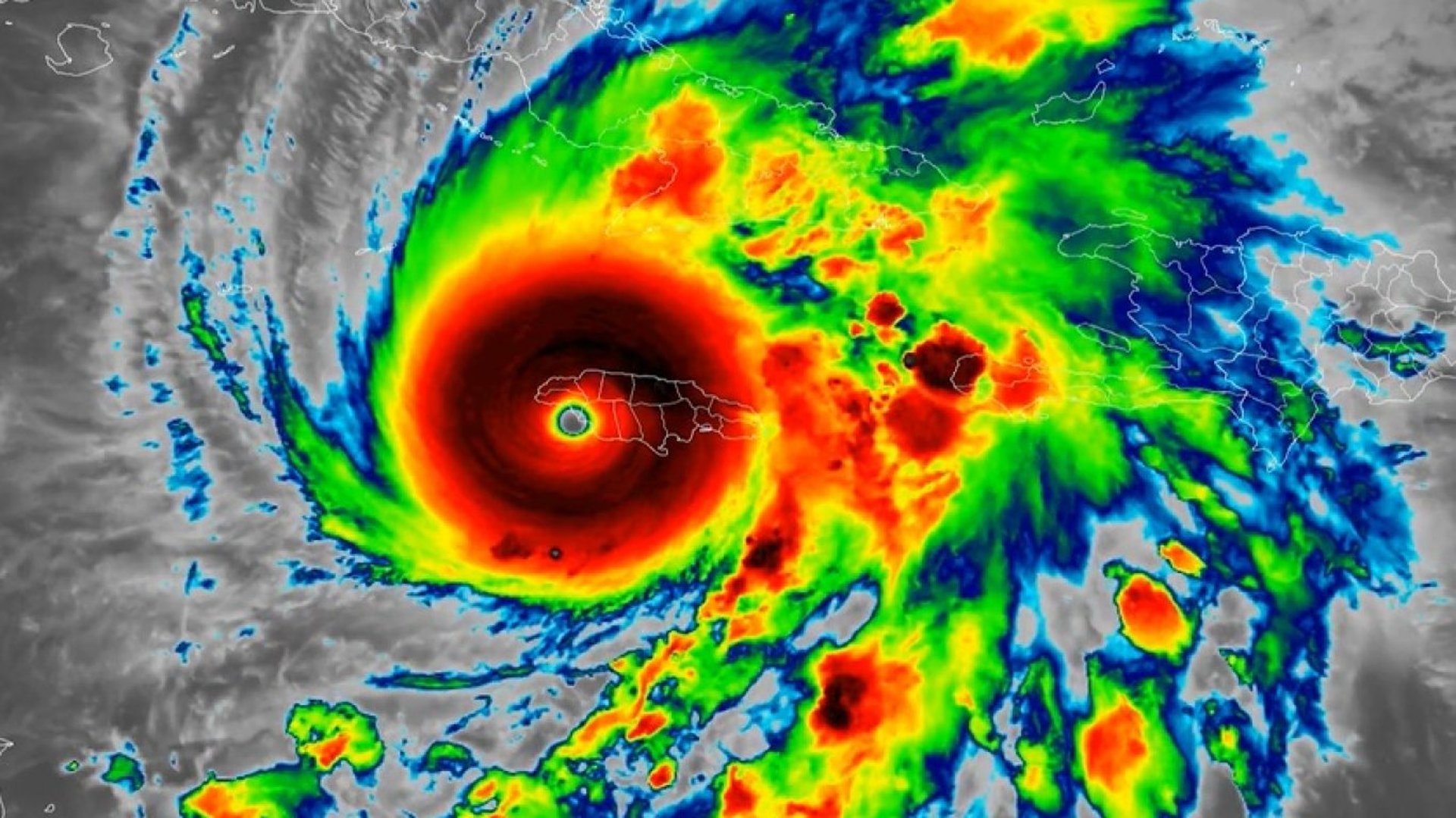
Ураганът Мелиса удари Ямайка, достигайки сушата около 19 ч. българско време близо до Ню Хоуп, предаде Си Ен Ен. Бурята е от най-високата категория 5, според американския Национален център за урагани.
Ветровете на урагана от 295 км/ч го правят най-силната буря, връхлитаща страната, регистрирана досега. Мелиса е и един от най-силните урагани, достигнали суша в Атлантическия океан, наравно само с две други бури - Дориан от 2019 г. и ураганът в Деня на труда от 1935 г.
Преди това най-силната буря, удряла Ямайка, беше опустошителният ураган Гилбърт достигнал сушата с категория 4 на запад от Кингстън през 1988 г.
BREAKING: Hurricane Mellisa approaches Jamaica, unleashing catastrophic winds on Junction, St. Elizabeth
— Insider Paper (@TheInsiderPaper) October 28, 2025
pic.twitter.com/4EWRcbNwdZ
Мелиса ще се движи директно над Ямайка през следващите няколко часа, носейки катастрофални ветрове, проливни дъждове и животозастрашаваща приливна вълна. Центърът ѝ в момента се движи на север-североизток със скорост от 14 км/ч.
Проливни дъждове се изляха в Порт Роял, още преди ураганът да е достигнал Ямайка, като скоростта на ветровете достигна 280 км/ч.
Премиерът Андрю Холнес предупреди снощи, че Мелиса може да причини значителни щети и призова жителите да вземат всички необходими предпазни мерки.
Тази сутрин Би Би Си съобщи за 7 жертви в Ямайка, Хаити и Доминиканската република.
Дир.бг

Коментари
Добави коментар